Signs of arthritis in dogs can start subtly, often attributed by even the most proactive pet parent to normal aging or simply “slowing down.” However, as this progressive condition advances, its symptoms become more pronounced, potentially leading to debilitating end-stage arthritis. As an integrative veterinarian, Dr. Julie Buzby sheds light on how to identify these crucial symptoms, particularly focusing on how arthritis manifests in your dog’s front legs, empowering you to work with your vet and provide timely care for your beloved companion.
Is your senior dog starting to slow down, showing reluctance during walks, or struggling with everyday movements? While many dog owners might dismiss these changes as typical for an aging pet, they could very well be among the early Symptoms Of Arthritis In Dogs Front Legs. If your recent internet searches include “how to tell if my dog has arthritis in front paws” or “elbow arthritis in dogs symptoms,” then this comprehensive guide is for you. Read on to discover the key signs of canine arthritis, with a special emphasis on forelimb involvement, and learn about diagnosis and management strategies.
What is Arthritis in Dogs?
Arthritis refers to pain, inflammation, and stiffness within the joints. Similar to humans, arthritis in dogs is primarily caused by the breakdown of cartilage, the smooth, protective tissue that lubricates joints and allows for effortless movement.
Canine arthritis is incredibly common, and its prevalence increases with age. The Veterinary Information Network reports that up to 25% of dogs will receive an arthritis diagnosis in their lifetime, with as many as 60% showing radiographic evidence of arthritis.
There are two primary forms of arthritis: Rheumatoid arthritis (RA), an autoimmune condition, and Osteoarthritis (OA), also known as degenerative joint disease (DJD). OA involves the natural wear and tear and breakdown of joint cartilage over time.
Osteoarthritis can be classified as primary (linked to old age and general joint wear) or secondary (resulting from a previous joint injury, a congenital deformity like hip or elbow dysplasia, or prior orthopedic surgery).
Osteoarthritis is far more common in dogs than RA. This article will focus primarily on osteoarthritis, with subsequent mentions of “arthritis” referring specifically to OA.
What Are the Signs of Arthritis in Dogs, Especially in Front Legs?
The symptoms of arthritis in dogs front legs can be subtle initially, sometimes even appearing in younger dogs. You might first notice your dog’s reluctance to get out of bed in the morning, their hesitation to join you on long walks, or difficulty navigating stairs. A previously eager Labrador Retriever might now avoid going for swims they once loved.
As front leg arthritis progresses, your dog may exhibit persistent stiffness throughout the day, take short, choppy steps with their forelimbs, and struggle to get up and down. In advanced stages, severe front leg arthritis can lead to a complete inability to stand.
Let’s delve deeper into 12 specific ways arthritis can affect dogs, highlighting how these signs frequently manifest in the front legs, to help you recognize the symptoms of arthritis in dogs front legs. Early intervention can significantly slow the progression of this condition.
Senior Golden Retriever resting, possibly showing stiffness in front legs due to arthritis
12 Key Symptoms of Arthritis in Dogs, with a Focus on Front Legs
Because early symptoms of arthritis in dogs front legs can be subtle, it’s vital for pet parents to diligently monitor their dogs for changes in behavior and movement. While arthritis is a progressive condition even with treatment, early detection and management can greatly improve a dog’s quality of life.
Let’s examine 12 signs of arthritis in dogs to watch for, emphasizing their presentation in the forelimbs.
1. Limping or Forelimb Lameness
Dogs experiencing joint pain will naturally try to alleviate pressure on the affected area. When arthritis impacts the front legs, this often results in a noticeable limp or forelimb lameness. The lameness may not consistently affect the same leg each day, as the intensity of pain can fluctuate. Common forelimb joints affected by osteoarthritis include the elbows and shoulders, which are susceptible to congenital conformation issues like elbow dysplasia or injuries. If you observe your dog limping on a front leg, it’s a clear indication of pain, warranting a veterinary appointment. This could be an early symptom of arthritis in dogs front legs.
2. Stiffness After Resting
One of the earliest and most subtle symptoms of arthritis in dogs front legs is an apparent stiffness after a period of rest, such as after sleeping or a long nap. It may take your dog longer to push themselves up, and once standing, their front legs might appear “creaky” or rigid for a while.
This stiffness occurs because arthritic joints become less lubricated and more painful after being held in one position. Just as people might feel sore or stiff when first waking up, arthritic dogs need time to “get going” as their joints warm up. Pay close attention to how your dog moves their front legs when they first stand up. Symptoms of front leg arthritis are often most evident during these initial movements in the morning or after prolonged rest.
3. Exercise Intolerance (i.e., Reluctance to Exercise)
Exercise intolerance in the context of arthritis isn’t about laziness; it’s a genuine reluctance to engage in activities your dog previously enjoyed due to pain in their front legs. Wanting to cut a normal walk short, showing less enthusiasm for games that involve running or jumping, or preferring an extra nap over physical activity can all be symptoms of arthritis in dogs front legs. If your active dog, who once loved long hikes, now tries to turn back early, pain in their forelimbs could be a contributing factor. Activities like retrieving balls or playing tug-of-war, which put strain on the front legs, may become less appealing.
4. Difficulty Rising
Dogs with arthritis, particularly in their front legs, may be slow to rise after resting. The act of pushing up from a lying position requires significant strength and flexibility in the forelimbs. Holding arthritic elbow or shoulder joints in one position during sleep can make it incredibly challenging and painful to extend them when first waking up. This sign can be particularly noticeable in larger breeds, where a greater body mass adds extra strain on already painful front joints when fighting gravity to stand. If your older dog takes longer to push up with their front legs, front leg arthritis may be the underlying cause.
5. Reluctance to Move
If moving causes pain, it’s natural for dogs to try and avoid it. As front leg osteoarthritis progresses, dogs often reduce their overall movement. You might notice your dog hesitating before jumping down from the couch or bed, showing reluctance to get into the car, or losing enthusiasm for a game of fetch that puts strain on their front limbs. This “slowing down” is frequently the first clue pet parents observe and a common indicator that warrants investigation for arthritis in the front legs.
6. Difficulty Jumping or Climbing Stairs
Navigating stairs and jumping place unique strains on a dog’s joints, involving different muscle groups and ranges of motion than walking on flat ground. When a dog jumps down, or descends stairs, a significant amount of impact and weight is absorbed by their front legs and spine. This can be exceptionally painful for dogs experiencing osteoarthritis, especially if secondary to conditions like IVDD or elbow dysplasia.
A dog with symptoms of arthritis in dogs front legs may take stairs more slowly and delicately, particularly when going down, or try to avoid them altogether. Similarly, jumping – whether onto or off furniture, or into and out of a car – becomes challenging. While jumping up primarily tests hind leg strength, jumping down directly impacts the front legs. This reluctance or inability to perform such actions is a strong indicator of pain in the forelimbs.
7. Sensitivity to Touch or Changes in Temperament
Just like humans, a dog experiencing pain in their body will be guarded about the affected areas. Dogs with front leg arthritis are often sensitive to touch around their shoulders, elbows, or even their front paws. This sensitivity might decrease with effective pain management, but sometimes a learned avoidance response can persist.
It’s crucial to watch for this sign, as painful dogs are more prone to biting. A dog does not simply become “grouchy” with age; often, these changes in temperament are rooted in chronic pain. If a dog’s front legs hurt, they might react defensively when touched in those areas.
Older Terrier dog with potential forelimb arthritis leaning on owner for comfort, indicating sensitivity or pain in front legsIf your dog suffers from arthritis in their front legs, they may be sensitive to touch over the affected areas.
As a veterinarian, I am highly vigilant about this symptom, as children are frequently the victims of such bites. Kids may not always recognize or respect subtle signs of pain and often invade a dog’s personal space. These aren’t “bad dogs,” and the bites are not their fault; they are in pain, and their space is being invaded, often after their more subtle cues (like anxious canine body language or growling) have gone unnoticed or ignored. Observing early signs of sensitivity to touch can prevent escalation to a situation where a dog feels a bite is their only remaining option.
8. Licking, Chewing, or Biting the Sore or Inflamed Joint
An arthritic dog may attempt to soothe a painful front leg joint by excessively licking or chewing it. This can occur on the paws, lower leg joints, elbows, or even the shoulder area if accessible.
However, licking a joint is an inconsistent indicator of arthritis. Some dogs do it, but many do not, so its absence doesn’t rule out pain. Furthermore, some arthritic joints, like the shoulder, can be difficult for a dog to reach. It’s also important to remember that excessive licking, particularly of the paws, can also be a common sign of allergies in dogs, not necessarily pain.
9. Coat Changes
Going hand in hand with excessive licking, sometimes changes in fur quality or color can be observed over a dog’s painful front leg joints, especially in lighter-colored dogs.
Dog saliva contains iron-containing molecules called porphyrins. Persistent licking or chewing on a specific front leg spot can lead to a buildup of porphyrins in the fur, staining it a rust or reddish-brown color. Interestingly, porphyrins are also found in tears, causing the red-brown tear staining seen in some dogs with chronic eye discharge.
Fur discoloration from salivary staining or even hair loss over a front leg joint can be valuable clues that a dog is constantly licking or chewing a spot due to pain.
10. Change in Stride or Posture
Arthritis restricts the range of motion in affected joints. When the elbows, shoulders, or carpal (wrist) joints in a dog’s front legs are arthritic, this reduced mobility can significantly alter their walk and run. Symptoms of arthritis in dogs front legs may include a short, choppy gait, a slower walk, and a reduced stride length when running, particularly in the forelimbs.
A classic sign of front leg lameness is a “head bobbing” gait, where the dog dips their head when the painful front leg touches the ground and raises it when the good leg bears weight. A dog with spinal arthritis affecting the neck (cervical spine) can also present with changes in front leg gait and a hunched posture. Any change in posture is not a normal part of aging and typically signals orthopedic pain or another underlying issue.
11. Whining or Groaning
Some dogs will vocalize due to arthritis pain, but it’s important to note that not all dogs do. Many pet parents mistakenly believe their dog isn’t in pain because they don’t whine or cry, but this is often untrue. As Dr. Buzby often tells clients, “I broke my arm years ago. I didn’t cry all day every day while it healed, but it sure hurt!” The absence of vocalization does not equate to the absence of pain.
Conversely, not all whining or crying comes from pain. Dogs can vocalize due to anxiety (including senior dog anxiety at night), stress, boredom, or simply because they are naturally more vocal (like some Huskies!).
Dogs who whine or groan due to front leg arthritis pain often do so during exertion, such as when rising from lying down, going down stairs, or jumping off furniture. It makes sense that activities that exacerbate forelimb pain are more likely to elicit vocalization.
12. Muscle Atrophy in Forelimbs
Muscle atrophy, or wasting, in the front legs is a significant indicator of advanced or chronic pain in the forelimbs. The most common locations for forelimb arthritis include the elbows and shoulders, often resulting from conditions like elbow dysplasia, osteochondritis dissecans (OCD) of the shoulder, or previous injuries.
When examining dogs suspected of suffering from arthritis, veterinarians often look for asymmetry or reduced muscle mass in the front legs. Feeling the muscles of the forelimbs and testing the range of motion in joints like the elbows and shoulders during a physical exam are crucial for identifying signs of osteoarthritis.
Just as exercise builds muscle, disuse leads to atrophy. When a dog has stiff, painful front leg joints, they will naturally use them less, guarding themselves from pain. This “use it or lose it” principle leads to muscle shrinkage. Muscle atrophy takes time to develop; other signs usually appear earlier. Therefore, it’s vital to observe subtle changes to catch front leg OA early. Marked muscle wasting in the forelimbs is generally a sign of more advanced or end-stage arthritis in a dog’s front legs.
Early Symptoms of Arthritis in Dogs Front Legs
Catching arthritis early, particularly when it affects the front legs, provides the best chance for effective long-term management. Subtle symptoms of arthritis in dogs front legs can be tricky to identify, especially because they may appear intermittently at first.
The earliest signs of forelimb arthritis often include stiffness after resting, mild difficulty rising with the front legs, and intermittent limping or lameness in one or both front limbs. These signs are frequently mistaken for general aging, but they can be crucial clues indicating developing arthritis.
Any of the 12 signs listed above may signal early front leg arthritis. The most important action is to watch for trends. Gradual changes are often hard to notice, so if you begin to observe any suspicious symptoms, carefully monitor if they are worsening or becoming more frequent.
End-Stage Arthritis in Dogs Front Legs
Even with treatment, arthritis is a progressive disease that will eventually worsen. When it reaches advanced or end-stage arthritis in the front legs, the impact on a dog’s mobility and quality of life can be severe.
Signs of End-Stage Arthritis in Dogs Front Legs
To some extent, signs of end-stage front leg arthritis are simply more pronounced or frequent occurrences of the earlier symptoms. A dog might be stiff for much longer after rising, or may call it quits on a walk much sooner due to overwhelming pain in their forelimbs. Since you live with your dog every day, it can be challenging to notice subtle progression over time. Your veterinarian, however, can help track your dog’s stage of arthritis.
More severe, end-stage front leg arthritis also presents additional signs, which may include:
- Restlessness: Inability to find a comfortable position due to persistent pain in the front legs.
- Persistent limping: Limping on one or both front legs, potentially not always the same leg, and often severe.
- Shifting weight when standing: Dogs with significant front leg arthritis may try to shift more weight onto their hind legs, or constantly adjust their stance to relieve forelimb pressure.
- Difficulty posturing for urination or defecation: While often associated with hind limb issues, severe front leg pain can also affect balance and ability to squat or lift legs comfortably.
- Severe difficulty or inability to rise: Struggling significantly or completely failing to push themselves up with their front legs from a lying position.
- Shuffling gait: Dragging or barely lifting their front paws when walking.
- Falling: Losing balance or falling when walking or standing due to forelimb weakness or pain.
Signs of end-stage arthritis can be variable and inconsistent. It’s crucial to pay close attention to your dog’s clinical signs and consult with your vet frequently for evaluations and treatment adjustments.
Unfortunately, severe arthritis, especially in the front legs, can progress to a point where it significantly impacts a pet’s quality of life. If a dog is unable to rise or walk without significant pain despite intervention, pet parents may need to consider when to euthanize a dog with arthritis.
Arthritis Symptoms in Dogs’ Back Legs
While this article focuses on the symptoms of arthritis in dogs front legs, it’s certainly helpful to understand how to localize which joints might be affected. Sometimes, we can specifically identify signs of arthritis in dogs’ back legs. Hip dysplasia and cranial cruciate ligament (CCL) injuries are very common in dogs, particularly large breeds, and both frequently lead to arthritis in the hind legs. Although signs can overlap, symptoms more specific to arthritis in a dog’s hind legs include:
- Difficulty rising from sitting or laying with the hindquarters
- Difficulty climbing or jumping up (requires significant hind leg power)
- Muscle atrophy of the hind limbs (thighs)
- Shaking of the back legs when standing
- Shifting weight to the front limbs (to offload painful hindquarters)
- Licking or salivary staining on back legs or hips
For dogs experiencing pain in their hips, it’s important to consider comprehensive solutions. You can explore options for best medicine for hip pain in dogs and learn about approaches on how to heal hip dysplasia in dogs.
Arthritis Symptoms in Dogs’ Front Legs
Similarly, some signs we observe in dogs with arthritis point more specifically to the front legs. Dogs with elbow dysplasia, shoulder injuries, or certain neck or upper back issues can develop more pronounced forelimb arthritis. Distinctive symptoms of arthritis in dogs front legs include:
- Reluctance to jump down or go down stairs: This puts significant impact on the elbows and shoulders.
- Head “bobbing” when walking: This is a classic sign of front leg lameness, where the head dips when the painful front leg bears weight.
- Muscle atrophy of the forelimbs: Often evident in the shoulder region (triceps) or around the elbows.
- Shifting weight while standing: Dogs try to offload painful front legs, often leaning back or favoring hind limbs.
- Licking or salivary staining on front legs or paws: Indicating local pain or irritation.
- Stiffness or reduced range of motion in the elbow or shoulder joints: Noticeable during gentle manipulation.
- Reluctance to extend front legs fully: Especially when reaching for food or toys.
- Changes in paw placement: The dog might place their front paws differently to avoid pain.
Of course, this is not an exhaustive list, but these specific observations can offer valuable clues as to where your dog is experiencing pain in their front limbs.
How is Arthritis in Dogs Diagnosed?
Your veterinarian will use a combination of information provided by you, findings from a physical examination, and diagnostic tests to accurately determine if your dog has arthritis, and to assess its severity, particularly in the front legs.
As part of determining whether your dog has arthritis, your veterinarian will perform a thorough physical examination, paying close attention to the front limbs.
What to Expect at the Vet: Diagnosing Front Leg Arthritis in Dogs
First and foremost, your vet will take a detailed history—a crucial part of every medical appointment, especially since our patients cannot speak for themselves. Your veterinarian will ask you questions such as:
- What symptoms of arthritis in dogs front legs have you observed?
- How long has the problem been occurring?
- Have you tried any treatments, and what were the outcomes?
- When are your dog’s symptoms at their best? Worst?
- Has your dog experienced any current or past injuries, particularly to their front legs, shoulders, or neck?
Next, your veterinarian will perform a thorough physical examination (PE), a “nose-to-tail” hands-on evaluation. This typically includes taking your dog’s weight, checking your dog’s vital signs, examining eyes, ears, mouth, and lymph nodes, listening to the heart and lungs, and palpating the abdomen.
Your vet will then focus specifically on your dog’s limbs and joints. This involves feeling the muscles of the legs and back, carefully pressing on certain areas to check for pain, and testing the range of motion of the joints, particularly the elbows, shoulders, and carpal joints of the front legs. While any joint can become arthritic, forelimb involvement is quite common.
Symptoms of arthritis in dogs front legs can be subtle in the early stages, making a trained eye essential for detection.
Your Vet Will Look for a Change in Gait, Especially Forelimb Lameness
A gait exam is typically the next step. Veterinarians often observe the dog walking and trotting in a hallway or outside to assess for subtle changes in gait, helping to localize pain. A “head bob” or a shortened stride in the front legs are key indicators of forelimb lameness.
The physical exam and history form the initial diagnostic steps. Diagnostic tests generally follow.
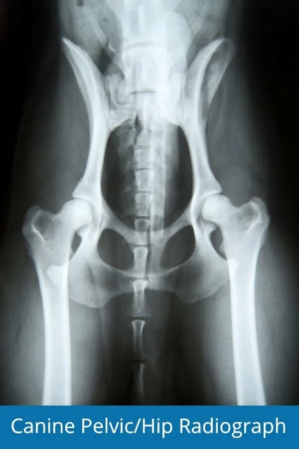
Arthritis in Dogs: X-rays and More Testing
Diagnostic tests, such as X-rays, are an important piece of the puzzle for diagnosing arthritis and ruling out other causes of pain or lameness. X-rays of the elbows and shoulders can reveal specific changes indicative of forelimb arthritis, such as bone spurs (osteophytes), joint space narrowing, or signs of conditions like elbow dysplasia. Your veterinarian may also test for tick-borne diseases in dogs, which can sometimes manifest as painful joints and limping. Blood tests are also important to check organ function before initiating any long-term arthritis treatment.
Veterinary radiograph of a dog's hip joints, demonstrating potential signs of osteoarthritis, which can also affect front leg jointsThis X-ray shows a dog’s hip joints, but similar radiographic changes can be seen in the elbows and shoulders when front leg arthritis is present.
Some common changes seen on X-rays of dogs with arthritis (whether in hips, elbows, or shoulders) include:
- Osteophytes and enthesophytes (bone spurs)
- Flattening of the joint surfaces
- Thickened joint capsules
- Subluxation (partial dislocation) of the joint
Can Arthritis in Dogs Be Cured?
Unfortunately, there is no cure for arthritis. Therefore, long-term treatment goals focus on improving your dog’s mobility and managing joint pain, whether it affects the front legs or other areas. Your veterinarian will offer a tailored approach that best fits your dog’s specific needs. A multi-modal approach to relieving arthritis pain in dogs may include:
- Medications, such as non-steroidal anti-inflammatory drugs (NSAIDs)
- Joint supplements for dogs, such as glucosamine and chondroitin
- Omega-3 fatty acids for dogs
- Physical therapy exercises, specifically designed to strengthen forelimb muscles
- Acupuncture for dogs
- Canine laser therapy
- Adequan injections for dogs
- Stem cell therapy
Other crucial factors for managing arthritis in dogs involve environmental and lifestyle adjustments. Perhaps the most important key to improving joint health, including in the front legs, is maintaining a healthy weight. The more weight a dog carries, the more stress is placed on all joints, increasing wear and tear on already vulnerable forelimbs.
Dogs experiencing difficulty rising due to front leg arthritis can also benefit from aids that provide better traction. ToeGrips® dog nail grips are excellent for giving arthritic dogs a little boost, helping them get up and move more confidently on slippery floors.
Can You Use Over-the-Counter Meds for Arthritic Dogs?
Medicating your dog with over-the-counter (OTC) pain medications is generally not recommended for several critical reasons:
- Toxicity and Incorrect Dosing: Despite information you might find online, many OTC medications safe for humans—such as ibuprofen (Advil, Motrin), naproxen (Aleve), acetaminophen (Tylenol), and even aspirin—can be dangerous, even lethal, for your dog. Even for OTC meds that are safe for dogs, the doses are often vastly different from human doses. Your veterinarian is the most reliable resource for knowing which medications, if any, are safe and at what dosage for your dog.
- Drug Interactions and Masking Symptoms: Some OTC pain medications can interact negatively with other over-the-counter or prescription drugs. Many of these interactions require a “washout period” where a dog must be off one drug for some time before starting another. It can limit a veterinarian’s treatment options if a well-meaning pet parent has given OTC anti-inflammatories before an appointment. Furthermore, while we don’t want our patients to suffer, initial pain is crucial for an accurate diagnosis. If pain is masked by OTC medications, a veterinarian may be unable to properly evaluate the pain during a physical exam.
While medications commonly used for similar pains in humans are generally not recommended for dogs, there are many safe and effective veterinary approaches to arthritis treatment to enhance your beloved canine’s comfort and mobility, especially when dealing with symptoms of arthritis in dogs front legs.
Keep an Eye Out for the Symptoms of Arthritis in Front Legs
You know your dog best. If you begin to notice any of the subtle symptoms of arthritis in dogs front legs, or any other signs of discomfort, make an appointment with your veterinarian for a thorough evaluation.
Paying close attention to small changes can make a significant difference in the long-term management of arthritis. The earlier we detect the condition and initiate therapy, the more we can slow its progression and help our dear dogs enjoy long, happy, and pain-free lives, maintaining their mobility and comfort in their front limbs.
Have you seen symptoms of arthritis in dogs’ front legs?
Please comment below. We can all learn from each other.
